恩納村・万座
でダイビング!
地形を満喫・砂地でマクロ

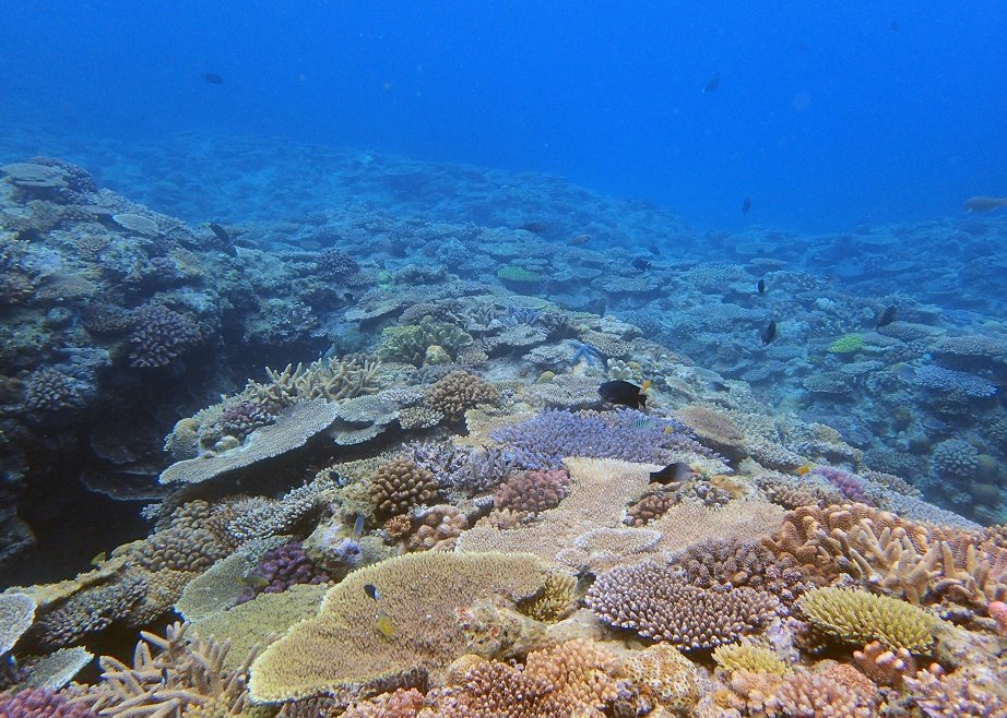
沖縄の観光地で有名な「万座毛」の近くにある瀬良垣漁港から出航します。漁港の西側はダイナミックな地形ポイントが多く、東側は砂地のまったりマクロポイントになっております。被写体も多いのでカメラ派ダイバーの方はじっくり撮影することができます。地形ポイントの棚の上のサンゴ礁がとても綺麗♪大物狙いのポイントではカマストガリザメやハンマーヘッドシャークに出会えることも!慶良間諸島に比べると少し透明度は落ちますが、条件が整うと慶良間諸島と同レベルの透明度も期待できます♪
1ダイブする度に港に戻ってくるので船酔いが心配な方でも安心してご参加して頂けます。沖縄でのまったりダイビングを希望する方にお勧めです(^^♪
※強い北方向の風の影響を受けると船が欠航になります。11月頃~4月頃は北風が吹く可能性が高くなります。
| コース料金 | |
|---|---|
| 2ダイブ 2名様以上 |
22,000円 18,000円 |
| 追加ダイビング ※要事前予約 |
6,000円 |
ガイド料・乗船代・タンク代・ウエイトシステム・保険料・
那覇市内宿泊先送迎・消費税込み
スケジュール
-
ご予約・お問合せ
ご予約のお申込みをされる前にホームページで恩納村・万座でのファンダイビングの流れやタイムスケジュール、料金やご注意事項の確認をお願い致します。わからないことがありましたらお問合せフォームよりお気軽にお問合せください。

-
宿泊先へ
お迎えに上がります宿泊先によって多少前後いますが「07:00」頃を目安にお迎えにあがります。水着着用のうえ、時間厳守で宿泊先の出入り口付近までお越しください。高速道路を利用して瀬良垣漁港に向かいます。道中コンビニに寄りますので、昼食や必要な物を購入して下さい。

-
瀬良垣漁港に到着。
現地集合も可能です到着予定時刻は08:00頃です。記入して頂いた必要書類の確認をし、その後ダイビング器材セットやウエットスーツを着用して頂きます。レンタル器材の方はこちら準備を行いますが、器材をご持参される方は自己管理でお願いしております。準備ができ次第、ブリーフィングをおこないます。
現地集合を希望される方へ
集合時間と場所:瀬良垣漁港までお越しください。朝から開催の場合「8:10」集合(時間は変わる場合があります。)
〒904-0404 沖縄県国頭郡恩納村瀬良垣
駐車スペースあり:無料
-
万座ダイビングポイントへ!
1便目の出航予定時刻は08:30頃です。万座のダイビングポイントは比較的近く、5~15分程で到着するポイントが多いです。1ダイブごとに港に戻って休憩できますので、まったりダイビングを満喫して頂けます。2便目以降はその日の話し合いよって決まります。

-
お昼休憩!
午前中に2ダイブしてからお昼休憩に入ります。2ダイブで終了の場合は着替えて帰る準備をします。昼食は持参して頂くか港近くの沖縄そば屋さんに食べに行くことも可能です。午後便の出航時刻はその日によって異なりますが目安は13時頃です。

-
お疲れ様でした!
片付けや着替えを済ませたら港でログ付けをおこないます。終わり次第宿泊先までお送り致します。精算は現地で現金払いでお願いしております。港には有料で使えるシャワー施設がございますが、新型コロナウイルス感染拡大により、緊急事態宣言・蔓延防止措置が発令中は閉鎖されております。そのため海水を流せる程度の真水を準備してお持ちします。更衣室も利用できないため、公衆トイレでのお着換えとなります。交通状況にもよりますが、那覇市内に戻るまで約1時間程で到着します。

| 参加条件 |
|---|
|
※到着後からの開催を希望される方は「11:00」までに空港3F2番出入口付近で待ち合わせ可能な方に限ります。
|
| 当日必要なもの |
|
| 推奨ダイビングライセンス |
万座のダイビングポイント
港より西側の地形ポイント
-
ドリームホール
難易度:中級~上級 万座を代表する地形ポイントです。 竪穴からの横穴があり水深は一気に25m程。 洞窟を抜ける時は人気のキャラクターの形に見えるので有名です。 上級者の方は先落ちしてゴジラの割れ目から入ることもできます。 -
ミニドリームホール
難易度:中級~上級 地形ポイントです。名前の通りドリームホームの小さい版です。リュウキュウハタンポやアカマツカサ、ホウセキキントキなどがいます。1番に入れるとホワイトチップシャークが寝ていることもあります。浅場のサンゴがとても綺麗で、個人的に好きなウミテングカワハギもいます。 上級者限定で潮当たりのいい場所までいくとイソマグロの群れに会えることも。 -
オーバーヘッドロック
難易度:中級~上級 地形・ドロップオフポイントです。 大きなウミガメやホワイトチップが寝ている穴があります。 マクロ生物で人気なピグミーシーフォース付いているヤギが近くにあります。 流れがある時はロウニンアジが出る場所が数か所もあり、運がよければ群れと遭遇出来ることもあります。着底すると40m超えるのでDECOに注意!ディープSP必須。 -
ホウシュウ
難易度:中級~上級 万座を代表する地形・ドロップオフポイントです。 カマストガリザメやメジロザメ、ハンマーヘッドシャークなどの大物に出会える可能性がポイントです。大物サメ狙いの場合は、穴に入って出待ちができる場所が数か所あります。ボートを停めるブイの近くには、洞窟も数か所あります。
港より東側の砂地ポイント
-
クロスライン
難易度:初級~上級 砂地ポイントです。 漁礁のロープが広い範囲に広がっていて生物がたくさん付いています。 砂地にはヤシャハゼ、ヒレナガネジリンボウ、ヤッコエイなど このポイントの各所にあるイソギンチャクにはトウアカクマノミがたくさんいる珍しいポイントます。時期によりカエルアンコウもいます。 -
ナカユクイ
難易度:初級~上級 万座を代表する砂地ポイントです。 浅場はサンゴ、少し泳ぐとキレイな砂地が広がっていてとても癒されます。 沖には漁礁のロープがあり、生物がたくさん付いています。時期にもよりますが、クマドリカエルアンコウやオオモンカエルアンコウも付いたりします。 砂地にはトウアカクマノミのイソギンチャクが1つあります。コバンザメ付きのアオウミガメやウミテングのペア、ヤッコエイ、ミナミハコフグの幼魚などに会えることも。